Exames

Registre e acompanhe exames Clínico e Ocupacionais

Conheça o AudiReport
 Voltar à Central de Ajuda

Parecer Audiológico Ocupacional

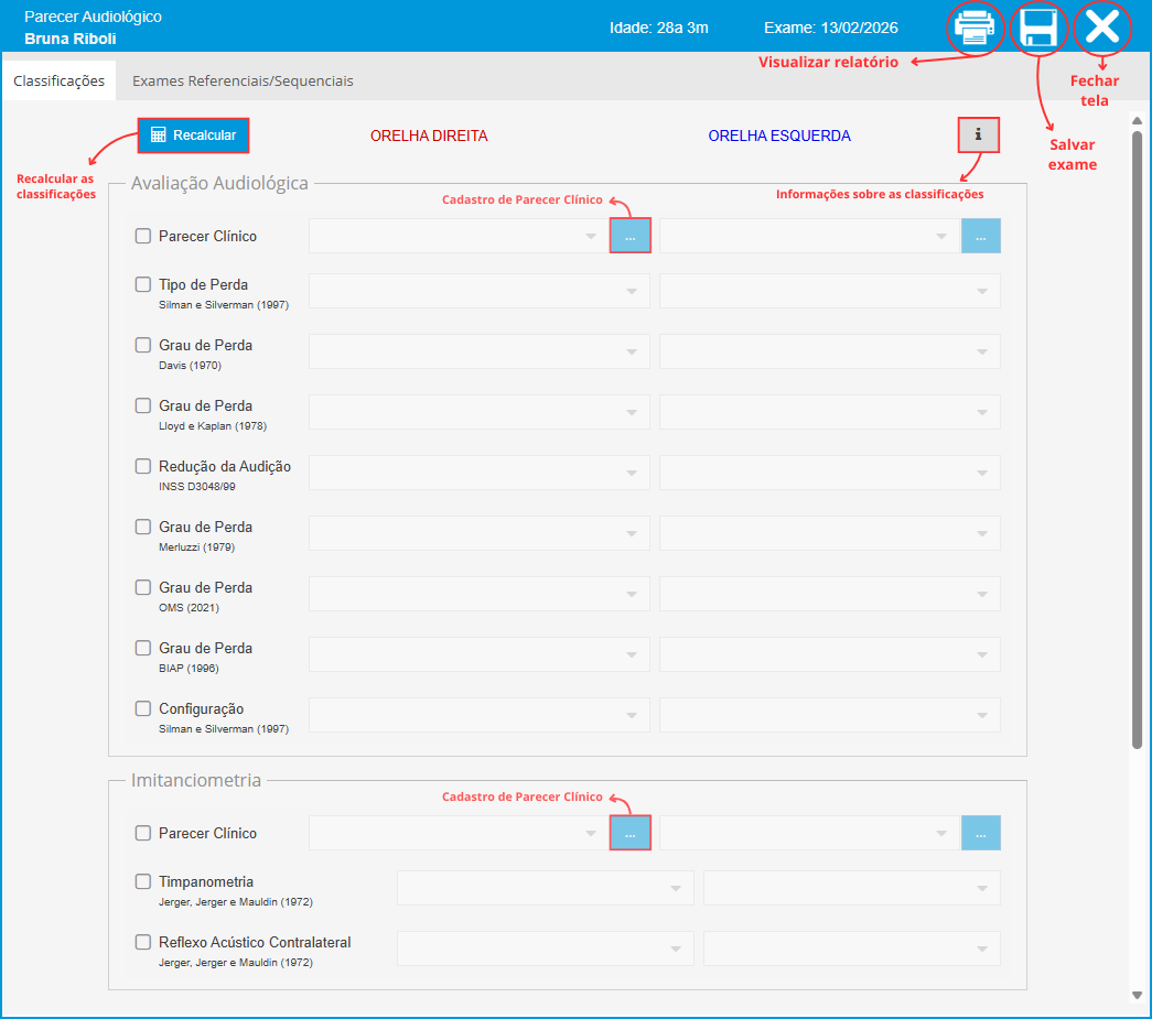
Será exibida uma tela para inserção do laudo do exame. Estão disponíveis classificações quanto ao Tipo de Perda, Grau de Perda, Configuração Audiométrica e Exames Referenciais e Sequenciais, na audiometria, e quanto ao Timpanograma e ao Reflexo Acústico Contralateral, na Imitanciometria, além de pareceres clínicos personalizados e um campo de texto livre.

Observação: As classificações utilizadas no sistema estão atualizadas de acordo com o Guia de Orientações na Avaliação Audiológica (Julho 2023), publicado pelo Sistema de Conselhos de Fonoaudiologia. Para consultá-las, clique no botão com o ícone   , localizado na parte superior da tela, ou acesse o menu Configurações e selecione o item Classificações Avaliação Audiológica.

Na parte superior da tela, estão disponíveis os botões Relatório, Salvar e Fechar, utilizados, respectivamente, para visualizar ou exportar o exame atual, salvar as informações inseridas e sair da tela do exame.

Na aba Classificações, ao selecionar uma classificação, seja ela relacionada ao Tipo de Perda, Grau de Perda ou Timpanometria, o sistema calcula automaticamente e sugere um parecer para as orelhas direita e esquerda, baseado nos resultados dos exames. Também é possível recalcular o parecer clicando no botão Recalcular, localizado na parte superior da tela.

Os botões ao lado dos campos do Parecer Clínico, tanto na Avaliação Audiológica quanto na Imitanciometria, permitem acessar a tela de cadastro dos pareceres, onde é possível localizar, inserir ou alterar registros. Ao fechar a tela com um registro selecionado, o parecer será automaticamente preenchido no campo correspondente.

Aba Classificações - Parecer Audiológico Ocupacional

Na aba Exames Referenciais/Sequenciais, é possível classificar e acompanhar os exames ocupacionais do paciente como referenciais ou sequenciais. No primeiro exame ocupacional em que essa aba é acessada, o sistema o define automaticamente como referencial. Os exames realizados posteriormente serão marcados como sequenciais.

Caso seja necessário definir outro exame como referencial, abra o exame desejado e clique no botão Definir Exame como Referência. Os exames anteriores a ele serão marcados como históricos e os posteriores como sequenciais.

O sistema calcula automaticamente e sugere uma classificação para as orelhas direita e esquerda, baseado nos resultados dos exames. Também é possível recalcular a classificação clicando no botão Recalcular, localizado na parte superior da tela.

Para mais informações, acesse NR 7 - PCMSO.

Aba Exames Referenciais/Sequenciais - Parecer Audiológico Ocupacional

Ao abrir um exame referencial, será exibida apenas a classificação para as orelhas direita e esquerda, juntamente com os botões Recalcular e Definir Exame como Referência. Ao abrir um exame sequencial, além da classificação e dos botões, será exibido o resultado do exame referencial e o botão Gráfico, que permite visualizar a comparação do gráfico audiométrico entre os dois exames.

Gráfico Audiométrico Exame Referencial - Parecer Audiológico Ocupacional

Links Relacionados